Main Street renewal open house - October 17
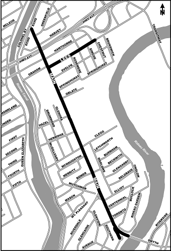
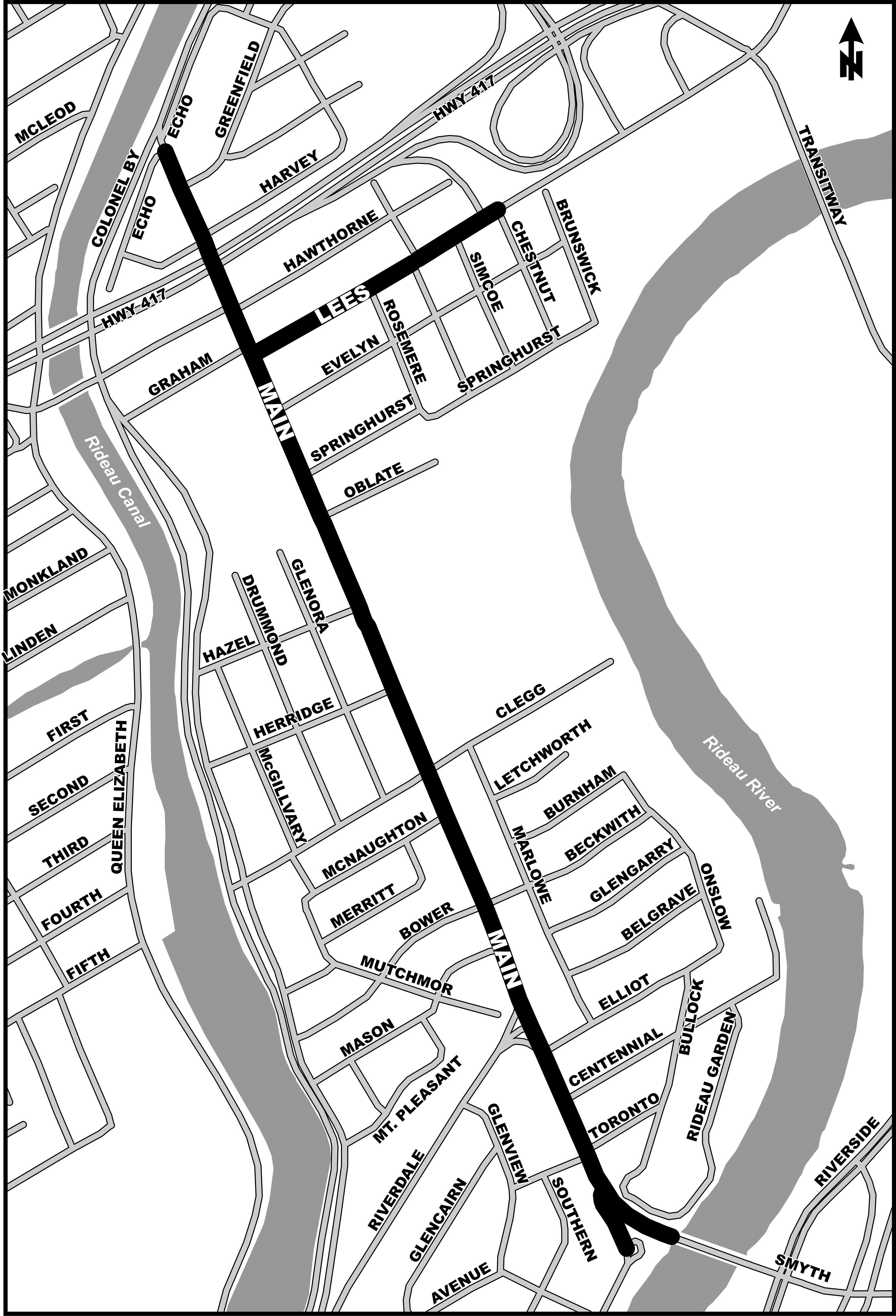
The City of Ottawa has recently commenced the planning and design process for the renewal of Main Street and portions of Lees Avenue and Rideau River Drive (see map below). The proposed works include the introduction, rehabilitation and/or replacement of various components of the street infrastructure within the right-of-ways. All interested persons are invited to attend a Public Open House hosted by the City of Ottawa on Wednesday, October 17th.
Details
Wednesday October 17, 2012
6:00 pm to 9:00 pm
Saint Paul University
Guigues Hall - Atrium
223 Main Street, Ottawa
At the meeting, information regarding the study process, project objectives and existing conditions will be presented. City of Ottawa staff and their consultants will be available to answer questions and engage in discussion.
This meeting will enable participants to learn about the project and to provide comments to the study team in a casual environment.
You are invited to take this opportunity to learn about the project and share your views about the future of Main Street and Lees Avenue.